Local Service Overview

Get Ants Extermination Service in Keller, TX

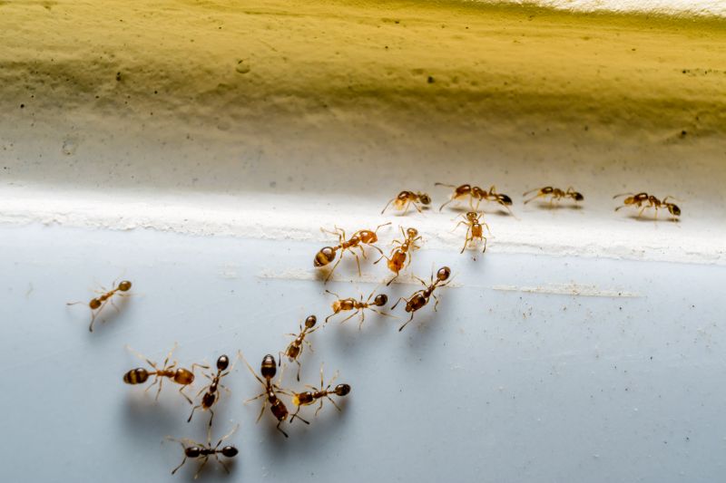
Ants extermination services for Keller, TX, and nearby areas solve ant infestations in homes and businesses, handling nests, trails, and ongoing pest control needs.

Keller, TX

Ants extermination services are essential for property owners in Keller, TX seeking to maintain a safe and comfortable environment. Infestations can compromise the functionality of a property, leading to potential damage, contamination, and increased maintenance needs. Professional extermination helps eliminate ant colonies effectively, reducing the risk of future invasions and ensuring that living and working spaces remain safe and hygienic.

Choosing expert ant control services can also enhance curb appeal and durability of a property. By addressing ant problems promptly, property owners can prevent structural damage and unsightly infestations that detract from overall appearance. Additionally, a pest-free environment contributes to peace of mind, allowing residents and visitors to enjoy the property without concerns about pests or ongoing maintenance issues.

Get Ants Extermination Service Quotes

  • Ants Extermination - Homeowners experiencing ant invasions in Keller, TX and surrounding areas may need professional extermination services.
  • Ants Extermination - Businesses facing persistent ant problems in nearby communities can benefit from expert pest control solutions.
  • Ants Extermination - Properties with visible ant trails or nests require targeted treatment from local pest control specialists.
  • Ants Extermination - New construction or renovation projects in Keller and neighboring towns may need ant prevention and control measures.
  • Ants Extermination - Residential properties with ant infestations during seasonal changes might seek professional assistance for effective removal.

Get Ants Extermination Service Quotes

Ants Extermination Service
Ants Extermination Service
Ants Extermination Service

Ants extermination services involve professional treatments designed to eliminate ant colonies and prevent future infestations. These services typically include inspection to identify the source of the ant problem, followed by targeted application of pest control solutions. In some cases, treatments may involve the use of baits, barriers, or residual insecticides to effectively eradicate ants and reduce the likelihood of recurrence. The goal is to address both visible ant activity and hidden nests that may be located indoors or outdoors.

The primary issues addressed by ants extermination services are nuisance and property damage caused by ant colonies. Ants can invade kitchens, pantries, and other living spaces, contaminating food and creating unsanitary conditions. Certain species, such as carpenter ants, can also cause structural damage by burrowing into wood. Extermination services help mitigate these problems by removing active colonies and implementing preventative measures to keep ants from returning, thus maintaining a cleaner and safer environment.

Properties that commonly utilize ants extermination services include residential homes, especially those with gardens or outdoor spaces that attract ants. Commercial properties, such as restaurants, grocery stores, and food production facilities, also frequently seek pest control to maintain hygiene standards and comply with health regulations. Additionally, multi-unit buildings and apartment complexes often require regular pest management to address ant activity across multiple living units, ensuring a pest-free environment for residents and occupants.

Professional ant extermination services are tailored to the specific needs of each property, considering factors such as the type of ant species involved, the extent of the infestation, and the property's layout. Local pest control providers typically offer customized treatment plans aimed at effectively removing ants and preventing future invasions. Contacting a local service provider can help property owners and managers find the right solution to address their ant problems efficiently and effectively.

The overview below groups typical Ants Extermination Service projects into broad ranges so you can see how smaller, mid-sized, and larger jobs often compare in Keller, TX.

In many markets, a large share of routine jobs stays in the lower and middle ranges, while only a smaller percentage of projects moves into the highest bands when the work is more complex or site conditions are harder than average.

Initial Inspection - The cost for an ant extermination inspection typically ranges from $50 to $150, depending on property size and complexity. This fee often covers identifying ant species and locating entry points.

Perimeter Treatment - Applying a perimeter treatment to eliminate ants usually costs between $100 and $300 for residential properties. Larger homes or extensive infestations may increase the price slightly.

Spot Treatments - Spot treatments targeting specific ant colonies generally fall within the $75 to $200 range. The price varies based on the number of nests and accessibility.

Ongoing Monitoring - Regular monitoring and follow-up treatments can cost between $50 and $150 per visit. Service providers may recommend periodic inspections to prevent re-infestation.

Actual totals will depend on details like access to the work area, the scope of the project, and the materials selected, so use these as general starting points rather than exact figures.

Get an Ants Extermination Service Quote

Ants Extermination services involve professionals who specialize in identifying and eliminating ant infestations in residential and commercial properties. Local pros can assess the extent of the ant problem and implement targeted treatment solutions.

Ants Control providers focus on preventing future ant invasions through barrier treatments and ongoing monitoring, helping to protect properties from recurring issues.

Ants Removal experts utilize effective methods to remove ants safely and efficiently, ensuring the elimination of colonies and reducing the risk of re-infestation.

Ants Pest Management services include integrated approaches to control ant populations, combining chemical treatments with exclusion techniques to maintain a pest-free environment.

Ants Inspection professionals conduct thorough inspections to identify ant entry points, nesting sites, and the species involved, informing tailored treatment plans.

Ants Prevention Services providers offer advice and treatments designed to deter ants from entering properties, helping to maintain a pest-free space over time.

Ants Extermination Service

When selecting a professional for ant extermination services, considering experience is essential. Many local providers have extensive backgrounds in pest control, with some specializing specifically in ant management. Homeowners can benefit from reviewing the length of time a contractor has been operating in the Keller, TX area or nearby communities, as well as their familiarity with common ant species and effective treatment methods. Experienced providers often have a deeper understanding of local conditions and ant behaviors, which can contribute to more effective and targeted solutions.

Clear communication and well-defined expectations are critical when working with a pest control professional. Reputable local contractors typically provide detailed information about their services, including the scope of work, treatment procedures, and any necessary preparations. Homeowners should seek providers who are transparent about their methods and willing to address questions or concerns. Establishing open lines of communication can help ensure that both parties are aligned on the process and outcomes, leading to a smoother service experience.

Reputable references and reviews from previous clients can offer valuable insights into a local provider’s reliability and quality of work. Many service directories or review platforms feature feedback from homeowners who have previously engaged with pest control specialists. When evaluating options, it’s helpful to look for providers with consistent positive feedback and a history of professional conduct. While the information below introduces local options, it is important to contact the individual contractors directly to verify their reputation, discuss their experience, and confirm their approach to ant extermination services.

Get an Ants Extermination Service Quote

Property owners in Keller, TX use Ants Extermination Service services for practical projects around their homes and businesses. The sections below highlight everyday jobs and straightforward project options.

Ants Extermination Service
Ants Extermination Service

Ants extermination services are commonly sought by property owners in Keller, TX who notice signs of ant activity around their homes or businesses. Common situations include discovering trails of ants in kitchens, bathrooms, or other indoor areas, or noticing ant mounds and nests in yards and landscaping. These issues can be more than just a nuisance, potentially leading to larger infestations if not addressed promptly, prompting property owners to seek professional assistance to eliminate the problem effectively.

Additionally, property owners may look for ant extermination services when preparing for special events or seasonal changes, such as spring or summer, when ant activity tends to increase. Preventive treatments are often requested to reduce the likelihood of future invasions, especially in areas where food is stored or consumed. Local service providers can help evaluate the property, identify ant entry points, and implement targeted solutions to maintain a pest-free environment.

Get an Ants Extermination Service Quote

How do ant extermination services work? Ant extermination services typically involve inspecting the property to identify ant entry points and nests, followed by applying targeted treatments to eliminate the colony and prevent future infestations.

Are ant treatments safe for pets and children? Many ant extermination methods are designed to be safe when applied correctly; it is recommended to discuss safety concerns with local service providers before treatment.

How long does an ant extermination treatment take? The duration of treatment varies depending on the severity of the infestation and the treatment method used; a local professional can provide an estimated timeframe during the consultation.

Will I need multiple treatments to control ants? Some ant species may require more than one treatment to fully eradicate the colony and prevent re-infestation, which can be discussed with a local pest control service provider.

How can I prevent future ant problems? Local pros often recommend sealing entry points, maintaining cleanliness, and removing food sources to help prevent future ant issues after treatment.

Ants Extermination Techniques - Local service providers utilize a variety of methods to eliminate ant infestations, including baiting and targeted treatments.

Preventative Ant Control - Professionals can assess property conditions and recommend measures to reduce the likelihood of future ant problems.

Residential Ant Extermination - Experts offer tailored solutions for homes in Keller, TX, to effectively address ant issues and protect living spaces.

Commercial Ant Pest Services - Commercial properties can access specialized ant extermination services to maintain a pest-free environment.

Ants Extermination Service

Considering Ants Extermination Service for a property in Keller, TX? The sections above highlight common project types, practical options, and details that often shape the scope of work.

When you are ready, use the quote form to share a few details about your project. Local pros can review the basics and respond with options that match what you have in mind.

Get an Ants Extermination Service Quote

Ants Extermination Quotes

Our Trusted Partners
Cantu Pest Control
Orkin
Hawx Pest Control