Local Service Overview

Get Black Ant Extermination in Little Elm, TX

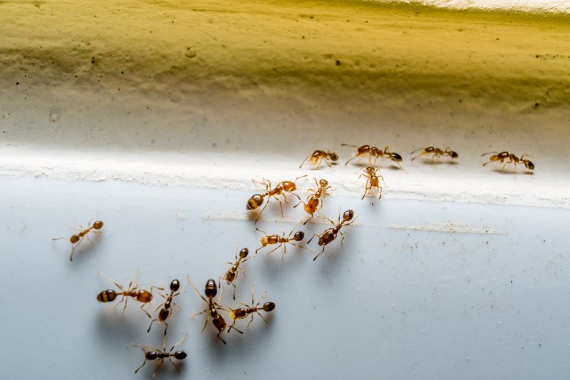
Black Ant Extermination services for Little Elm, TX, and nearby areas address ant infestations, property damage prevention, and pest removal for residential and commercial properties.

Little Elm, TX

Black ant extermination services are a practical solution for property owners in Little Elm, TX seeking to maintain a comfortable and pest-free environment. Effective ant control helps prevent infestations that can disrupt daily routines and compromise the overall usability of indoor and outdoor spaces. By addressing ant problems promptly, property owners can enjoy enhanced safety, reduce the risk of damage caused by pests, and preserve the functionality of their homes and yards.

Choosing professional extermination services offers benefits such as increased durability of pest control efforts and minimized ongoing maintenance. Well-executed treatments can provide long-lasting results, reducing the likelihood of recurring ant issues and the need for frequent interventions. Additionally, a pest-free exterior can improve curb appeal, making properties more attractive and welcoming for residents and visitors alike.

Get Black Ant Extermination Quotes

  • Black ant extermination services are essential for homeowners dealing with persistent ant infestations in residential or commercial properties. Pest control professionals can help eliminate ant colonies in yard areas around Little Elm, TX, and neighboring communities. These services are often needed when ants invade kitchens, bathrooms, or other indoor spaces. Ant extermination is also important for preventing future infestations in outdoor landscaping and garden areas. Local pros can provide targeted treatments to address ant problems in nearby cities and towns.

Get Black Ant Extermination Quotes

Black Ant Extermination
Black Ant Extermination
Black Ant Extermination

Black ant extermination services focus on identifying and eliminating black ant infestations within residential, commercial, and industrial properties. These services typically involve thorough inspections to locate ant colonies and entry points, followed by targeted treatment methods to eradicate the pests. Treatment options may include the application of baits, insecticides, or other pest control products designed to eliminate black ants at various stages of their lifecycle. Professionals may also advise on preventative measures to reduce the likelihood of future invasions, helping property owners maintain a pest-free environment.

Black ants can become a persistent nuisance when they invade homes and businesses, often seeking food, water, and shelter. An infestation can lead to issues such as contamination of food supplies, unsanitary conditions, and potential damage to property structures. Black ant extermination services help address these problems by removing colonies and disrupting their trails, thereby reducing the likelihood of ongoing infestations. Proper treatment not only eliminates current pests but also minimizes the risk of re-infestation, contributing to a cleaner and more comfortable living or working space.

Properties that commonly utilize black ant extermination services include single-family homes, apartment complexes, restaurants, and retail stores. Residential properties often seek these services to protect food storage areas and prevent ant-related nuisances. Commercial properties, especially those involved in food service or retail, prioritize pest control to comply with health regulations and ensure customer satisfaction. Additionally, warehouses and office buildings may also engage pest control providers to manage ant populations that could threaten hygiene standards or cause property damage.

Professional black ant extermination services are tailored to the specific needs of each property type and infestation severity. Service providers utilize a variety of treatment strategies suited to different environments, whether it’s a small residential kitchen or a large commercial storage facility. Regular inspections and maintenance treatments may be recommended to sustain pest control efforts over time. Contacting local pest control specialists can help property owners find effective solutions to eliminate black ants and prevent future problems, ensuring a pest-managed space.

The overview below groups typical Black Ant Extermination projects into broad ranges so you can see how smaller, mid-sized, and larger jobs often compare in Little Elm, TX.

In many markets, a large share of routine jobs stays in the lower and middle ranges, while only a smaller percentage of projects moves into the highest bands when the work is more complex or site conditions are harder than average.

Cost of Black Ant Extermination - The typical cost for black ant extermination services ranges from $150 to $300 for a standard treatment in Little Elm, TX. Larger infestations or multiple treatments can increase the price to around $400. Prices vary based on the size of the property and severity of the infestation.

Per-Visit Charges - Many service providers charge between $75 and $150 per visit for black ant extermination. The number of visits needed depends on the extent of the ant problem, with some cases requiring multiple treatments. Contact local pros for detailed estimates tailored to specific situations.

Initial Inspection Fees - An initial inspection for black ant issues typically costs between $50 and $100. This fee may be waived if the treatment is scheduled immediately afterward. Inspection costs can vary based on property size and accessibility.

Ongoing Maintenance Costs - Ongoing pest control plans for black ants might range from $30 to $70 per month. These plans often include regular treatments and inspections to prevent future infestations. Pricing depends on the service provider and the level of ongoing service needed.

Actual totals will depend on details like access to the work area, the scope of the project, and the materials selected, so use these as general starting points rather than exact figures.

Get a Black Ant Extermination Quote

Black Ant Extermination services are essential for property owners dealing with infestations that can cause damage and discomfort. Local pest control providers offer targeted treatments to eliminate black ants and prevent future invasions.

Ant Infestation Removal specialists focus on identifying ant nesting sites and implementing effective removal strategies to restore a pest-free environment. They serve residential and commercial properties in Little Elm, TX, and nearby areas.

Residential Ant Control services help homeowners address black ant problems that may invade kitchens, basements, or outdoor spaces. Local providers tailor solutions to fit specific property needs.

Commercial Pest Management involves integrated approaches to control black ants in business settings, ensuring compliance and maintaining a pest-free workspace. Local pros are equipped to handle various commercial environments.

Preventative Ant Treatments focus on applying barriers and treatments to stop black ants from entering buildings. Contact local pest control services for advice on protecting properties proactively.

Emergency Ant Extermination services are available for sudden infestations requiring immediate attention to minimize damage and nuisance. Local providers offer rapid response options for urgent cases.

Black Ant Extermination

When selecting a professional for black ant extermination services, it’s important to consider the experience of the contractors or service providers in handling ant infestations. Homeowners should look for local pros with a proven track record in managing similar pest issues, as this can indicate familiarity with effective strategies and local conditions. Verifying the reputation of these professionals through reputable references or reviews can help ensure they have a history of reliable service and customer satisfaction. Clear communication about the scope of work, methods used, and expected outcomes is also essential to establish trust and ensure the homeowner’s expectations are aligned with the services provided.

The site introduces a range of local options for black ant extermination, emphasizing that it functions as a lead-generation resource rather than a direct service provider. Homeowners are encouraged to explore different local pros, comparing their experience levels, references, and communication styles to find the best fit for their needs. It’s advisable to contact multiple providers to gather detailed information about their approaches and to assess how well they understand the specific ant issues faced in areas like Little Elm, TX and surrounding communities.

Reputable local pros typically prioritize transparent communication, providing detailed explanations of their treatment methods and what homeowners can expect during and after the service. Homeowners should seek out providers who are willing to share references or testimonials from previous clients, which can offer insight into their reliability and effectiveness. Since the site does not perform the work itself, it’s recommended to evaluate each contractor’s professionalism, responsiveness, and clarity in their communication to make an informed decision when addressing black ant infestations.

Get a Black Ant Extermination Quote

Property owners in Little Elm, TX use Black Ant Extermination services for practical projects around their homes and businesses. The sections below highlight everyday jobs and straightforward project options.

Black Ant Extermination
Black Ant Extermination

Black ant extermination services are commonly sought by property owners in Little Elm, TX, experiencing persistent ant activity around their homes or businesses. These pests often invade kitchens, pantry areas, and outdoor spaces, creating nuisance and potential health concerns. Local service providers can assist with identifying ant entry points, applying targeted treatments, and implementing prevention strategies to help keep properties ant-free.

Property owners may also look for ant extermination when noticing ant trails or nests in their yards, patios, or foundation areas. In addition to immediate removal, professional exterminators can offer advice on reducing attractants such as food debris or moisture buildup. Engaging with local pros can help address ant problems effectively and maintain a pest-free environment in residential and commercial spaces.

Get a Black Ant Extermination Quote

Why are black ants attracted to certain areas? Black ants are drawn to sources of food, water, and shelter, often invading kitchens, bathrooms, and outdoor spaces where these resources are available.

How can I prevent black ant infestations? Keeping areas clean, sealing entry points, and removing food debris can help reduce the likelihood of black ant invasions.

What methods do extermination professionals use to eliminate black ants? Local service providers typically use targeted treatments, baiting systems, and perimeter barriers to control black ant populations.

Are black ants dangerous to my household? Black ants are generally not harmful to people, but they can contaminate food and cause nuisance issues inside the home.

How long does black ant extermination typically take? The duration varies depending on the extent of the infestation, but professionals aim to achieve effective control efficiently.

Black Ant Extermination Solutions - Local service providers offer targeted treatments to eliminate black ants and prevent future infestations.

Inspection and Identification - Pros can identify ant entry points and nesting sites to develop effective extermination plans.

Preventive Treatments - Experts can apply barriers and treatments to reduce the likelihood of black ant re-infestation.

Ongoing Monitoring - Professionals provide regular inspections to ensure ant problems remain under control.

Black Ant Extermination

Considering Black Ant Extermination for a property in Little Elm, TX? The sections above highlight common project types, practical options, and details that often shape the scope of work.

When you are ready, use the quote form to share a few details about your project. Local pros can review the basics and respond with options that match what you have in mind.

Get a Black Ant Extermination Quote

Black Ant Extermination Quotes

Our Trusted Partners
Cantu Pest Control
Orkin
Hawx Pest Control