Local Service Overview

Get Ants Extermination Service in Tarrant County, TX

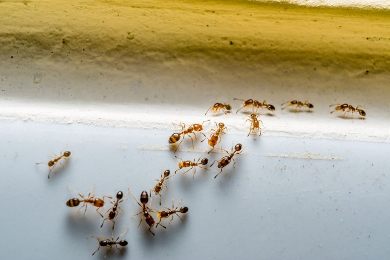
Ants extermination services for property owners in Tarrant County, TX, typically address ant infestations in homes and businesses, including residential kitchens and commercial storage areas.

Tarrant County, TX

Ants extermination services provide property owners in Tarrant County, TX with effective solutions to manage and eliminate ant infestations. These services help maintain a comfortable living or working environment by preventing the nuisance and potential damage caused by ants. Additionally, professional extermination can enhance the safety of a property by reducing the risk of ant-borne bacteria and contaminants, contributing to a healthier space for residents and visitors alike.

Choosing expert ant control services also supports the overall functionality and durability of a property. By addressing ant issues promptly, property owners can reduce the likelihood of structural damage or pest-related deterioration. Furthermore, effective extermination can improve curb appeal by keeping outdoor areas and entry points clear of ant activity, creating a cleaner, more inviting appearance for homes and businesses in the community.

Get Ants Extermination Service Quotes

  • Ants Extermination - needed when ants invade homes or businesses in Tarrant County, TX and surrounding areas.
  • Ants Prevention - essential for property owners seeking to stop ant infestations before they start.
  • Ants Inspection - useful for identifying ant activity and entry points in residential or commercial properties.
  • Ants Control - required when multiple ant colonies threaten to spread throughout a property.
  • Ants Barrier Treatment - recommended for ongoing protection against ants in regions prone to infestations.

Get Ants Extermination Service Quotes

Ants Extermination Service
Ants Extermination Service
Ants Extermination Service

Ants extermination services involve the identification and elimination of ant colonies within residential, commercial, or industrial properties. Professionals typically conduct thorough inspections to locate ant nests and determine the species involved, which helps in selecting the most effective treatment methods. Treatments may include targeted application of insecticides, baiting systems, or barriers designed to prevent ants from entering the property. The goal is to reduce or eradicate ant populations, preventing further infestations and minimizing damage caused by these pests.

These services address common problems associated with ant infestations, such as property damage, contamination of food supplies, and general nuisance. Certain ant species, like carpenter ants, can compromise the structural integrity of wooden elements in buildings, while others, such as fire ants, pose stinging threats to residents and visitors. Extermination solutions aim to eliminate these risks by controlling the spread of ants and reducing their presence within the affected areas.

Properties that typically utilize ants extermination services include single-family homes, apartment complexes, restaurants, warehouses, and office buildings. Homes often seek treatment to protect kitchens, pantries, and outdoor living spaces from ant incursions. Commercial properties, especially those involved in food handling or storage, require pest control to maintain hygiene standards and comply with health regulations. Industrial facilities may also need ongoing pest management to prevent disruptions caused by ant colonies.

Professional ant extermination services are essential for effectively managing infestations that are difficult to control with DIY methods. Local pest control providers employ specialized techniques and products to target ant colonies at their source, ensuring long-term relief. Contacting experienced service providers can help property owners and managers address ant issues promptly and efficiently, safeguarding both property value and occupant comfort.

The overview below groups typical Ants Extermination Service projects into broad ranges so you can see how smaller, mid-sized, and larger jobs often compare in Tarrant County, TX.

In many markets, a large share of routine jobs stays in the lower and middle ranges, while only a smaller percentage of projects moves into the highest bands when the work is more complex or site conditions are harder than average.

Initial Inspection - The cost for a thorough ant inspection typically ranges from $50 to $150, depending on property size and complexity. Some providers may include the inspection fee in the overall service cost.

Basic Treatment - A standard ant extermination service usually costs between $100 and $300 for a single treatment. Larger homes or severe infestations may incur higher fees within this range.

Multiple Treatments - For ongoing or multiple-treatment plans, prices can range from $200 to $600, with some providers offering package deals for extended control solutions.

Specialized Services - Eco-friendly or targeted ant control treatments often cost between $150 and $400, depending on the methods used and the extent of the infestation. These options may be more costly than standard treatments.

Actual totals will depend on details like access to the work area, the scope of the project, and the materials selected, so use these as general starting points rather than exact figures.

Get an Ants Extermination Service Quote

Ants Extermination - Local pest control providers offer specialized services to eliminate ant infestations in residential and commercial properties. They assess the extent of the problem and implement targeted treatment plans.

Ants Prevention - Service providers can advise on and implement measures to prevent future ant invasions through sanitation and barrier methods. This helps maintain a pest-free environment over time.

Indoor Ant Control - Professionals focus on treating indoor areas where ants are active, using methods designed to remove colonies and prevent re-entry into living spaces. They address common entry points and nesting sites.

Outdoor Ant Control - Experts treat outdoor landscapes, including lawns and gardens, to eliminate ant colonies and create a barrier against future invasions. This service is essential for property perimeter protection.

Ant Nest Removal - Local pros identify and remove ant nests located in yards, walls, or underground to effectively reduce ant populations. Proper nest removal is crucial for long-term control.

Emergency Ant Extermination - Many service providers offer prompt response options for urgent ant infestations that require immediate attention to prevent further spread. These services help manage unexpected outbreaks efficiently.

Ants Extermination Service

When selecting a professional for ant extermination services, it is beneficial to consider the experience of local contractors. Experienced providers often have a deeper understanding of ant behavior and the most effective treatment methods within the specific region. Reviewing the background and duration of service of local pros can help ensure that the chosen provider has a solid track record in handling ant infestations effectively.

Clear communication and well-defined expectations are essential when working with a pest control service. Reputable local providers typically outline their service process, what customers can expect during treatment, and any necessary follow-up steps. This transparency helps homeowners understand the scope of work and ensures that there are no surprises once the service is completed.

References and reputation are valuable indicators of a local pest control provider’s reliability. Homeowners can seek out reviews or testimonials from previous clients to gauge the quality of service. Additionally, reputable local pros often have a history of positive feedback from the community, which can provide confidence in their ability to deliver satisfactory results. Remember, this platform introduces local options but does not perform the work itself; contacting multiple providers can help compare their experience, communication style, and references to find the best fit for ant extermination needs.

Get an Ants Extermination Service Quote

Property owners in Tarrant County, TX use Ants Extermination Service services for practical projects around their homes and businesses. The sections below highlight everyday jobs and straightforward project options.

Ants Extermination Service
Ants Extermination Service

Ants extermination services are often sought by property owners in Tarrant County, TX, facing persistent ant infestations in residential or commercial spaces. Common situations include noticing large ant colonies inside kitchens, bathrooms, or around the foundation, which can disrupt daily activities and pose hygiene concerns. Local service providers can help identify the source of the problem and implement targeted treatments to eliminate the ants and prevent future invasions.

Property owners may also seek ants extermination when ant activity is observed near outdoor areas, such as gardens, patios, or around trash containers. In some cases, ants can cause damage to structures or become a nuisance that affects comfort and property value. Professional extermination services offer tailored solutions to manage these issues effectively, helping maintain a pest-free environment in homes and businesses across Tarrant County.

Get an Ants Extermination Service Quote

How do ant extermination services work? Ant extermination services typically involve inspecting the property to identify ant colonies and entry points, followed by targeted treatments to eliminate the ants and prevent future infestations. Local service providers may use baits, sprays, or dusts based on the situation.

Are ant extermination treatments safe for pets and children? Many extermination methods are designed to be safe for households when applied by professionals. It is recommended to discuss safety concerns with the chosen service provider prior to treatment.

How long does an ant extermination treatment usually last? The duration of effectiveness varies depending on the treatment type and extent of the infestation. Service providers can offer guidance on follow-up or preventative measures.

Will the ant problem return after treatment? While professional treatments aim to eliminate existing colonies, ants can sometimes return if new colonies are established nearby. Regular inspections and preventative treatments can help maintain control.

How can I prevent future ant infestations? Preventative measures include sealing entry points, maintaining cleanliness, and removing food or water sources. Local pest control providers can offer tailored advice for ongoing prevention.

Ants Prevention Strategies - Local service providers can recommend effective measures to prevent ant infestations around residential and commercial properties.

Inspection and Identification - Professionals can perform thorough inspections to identify ant species and pinpoint entry points for targeted treatment.

Customized Extermination Plans - Service providers offer tailored solutions to eliminate existing ant colonies and reduce future invasions.

Ongoing Monitoring and Maintenance - Local pros can establish monitoring routines to ensure ant problems are managed and do not return.

Ants Extermination Service

Considering Ants Extermination Service for a property in Tarrant County, TX? The sections above highlight common project types, practical options, and details that often shape the scope of work.

When you are ready, use the quote form to share a few details about your project. Local pros can review the basics and respond with options that match what you have in mind.

Get an Ants Extermination Service Quote

Ants Extermination Quotes

Our Trusted Partners
Cantu Pest Control
Orkin
Hawx Pest Control