Local Service Overview

Get Ants Extermination Service in Ponder, TX

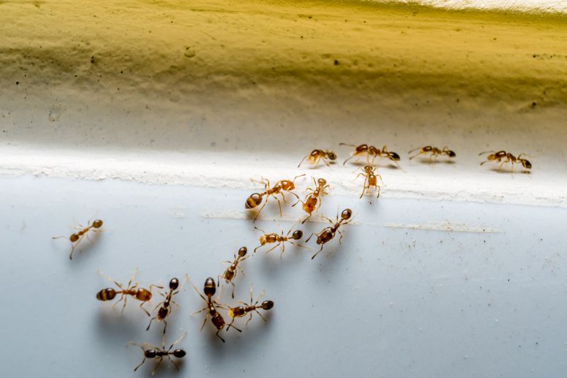
Ants extermination services for property owners in Ponder, TX, address ant infestations, prevent future invasions, and handle common projects like residential and commercial ant control.

Ponder, TX

Ants extermination services are an essential consideration for property owners in Ponder, TX, seeking to maintain a comfortable and safe living environment. Effective removal helps prevent infestations that can disrupt daily routines, cause property damage, or compromise hygiene. By addressing ant problems promptly, property owners can enjoy a more functional space free from pests that may interfere with outdoor activities or the use of indoor areas, contributing to overall peace of mind.

Engaging professional ant extermination services offers benefits such as enhanced durability of structures, reduced ongoing maintenance, and improved curb appeal. Proper pest control helps preserve the integrity of landscaping and building exteriors, keeping properties looking their best. Additionally, a pest-free environment minimizes the need for repeated treatments and repairs, supporting long-term property value and ensuring a more inviting appearance for residents and visitors alike.

Get Ants Extermination Service Quotes

  • Ant Infestation Removal - needed when ants invade homes or businesses in Ponder, TX and surrounding areas.
  • Kitchen Ant Control - required when ants are found in food preparation or storage areas.
  • Outdoor Ant Extermination - necessary to eliminate ant colonies in yards, gardens, or outdoor living spaces.
  • Carpenter Ant Treatment - needed when wood-damaging ants threaten structures in nearby neighborhoods.
  • Preventive Ant Services - recommended to reduce the risk of future ant infestations in residential or commercial properties.

Get Ants Extermination Service Quotes

Ants Extermination Service
Ants Extermination Service
Ants Extermination Service

Ants extermination services involve identifying and eliminating ant infestations within residential, commercial, or industrial properties. Service providers typically conduct thorough inspections to locate ant colonies and determine the species involved. Once the problem areas are identified, they employ targeted treatments, which may include the application of baits, sprays, or dusts designed to eradicate the ants and disrupt their colonies. The goal is to remove the pests efficiently while minimizing disruption to the property’s occupants or daily operations.

These services address common problems caused by ant infestations, such as property damage, contamination of food supplies, and general nuisance. Certain ant species, like carpenter ants, can cause structural damage by tunneling into wood, while others, such as odorous house ants or fire ants, may pose health risks or create unpleasant living environments. Exterminators also help prevent future invasions by identifying entry points and recommending measures to block or seal access points, reducing the likelihood of recurring issues.

Properties that typically utilize ants extermination services include single-family homes, apartment complexes, restaurants, food processing facilities, and retail stores. Residential properties often seek treatment to protect food storage areas and maintain comfort, especially during peak ant activity seasons. Commercial establishments, particularly those involved in food handling or storage, rely on pest control services to ensure hygiene standards are maintained and to prevent business disruptions caused by infestations.

Professional ant extermination services are designed to provide effective solutions for a variety of property types and infestation levels. Service providers tailor their approaches based on the severity of the problem, the specific ant species involved, and the property’s layout. Regular inspections and preventative treatments may be recommended to maintain a pest-free environment, especially in areas prone to ant activity. Contacting local pest control experts can help property owners find appropriate solutions to manage and eliminate ant problems efficiently.

The overview below groups typical Ants Extermination Service projects into broad ranges so you can see how smaller, mid-sized, and larger jobs often compare in Ponder, TX.

In many markets, a large share of routine jobs stays in the lower and middle ranges, while only a smaller percentage of projects moves into the highest bands when the work is more complex or site conditions are harder than average.

Initial Inspection - The cost for an ant inspection typically ranges from $50 to $150, depending on the size of the property and complexity. Some providers may charge a flat fee or include it as part of a treatment package. Prices vary based on location and service provider.

Perimeter Treatment - Applying ant control treatments around the property usually costs between $100 and $300. This includes barrier sprays or dusts along foundations and entry points. The total depends on property size and the extent of the infestation.

Spot Treatments - Targeted ant spot treatments generally cost between $50 and $200 per application. These are used to eliminate visible nests or high-activity areas and may require multiple visits for complete control.

Ongoing Maintenance - Regular ant control services or quarterly treatments can range from $100 to $400 annually. This helps prevent future infestations and is priced based on treatment frequency and property size.

Actual totals will depend on details like access to the work area, the scope of the project, and the materials selected, so use these as general starting points rather than exact figures.

Get an Ants Extermination Service Quote

Ants Extermination - Local pest control providers offer specialized services to eliminate ant infestations in residential and commercial properties. They assess the extent of the problem and implement targeted treatment solutions.

Ant Trails Removal - Service providers can identify and eradicate ant trails, preventing future invasions and reducing the likelihood of re-infestation within homes and businesses.

Kitchen and Pantry Ant Control - Pros utilize effective methods to treat areas where ants are commonly found, such as kitchens and pantries, to ensure thorough eradication.

Outdoor Ant Nest Treatment - Local specialists can locate and treat outdoor ant nests, helping to control colonies at their source and minimize indoor activity.

Preventive Ant Control - Service providers offer ongoing prevention strategies to reduce the risk of future ant problems through barriers and regular inspections.

Ant Infestation Inspection - Professionals conduct detailed inspections to identify ant entry points, nesting sites, and the extent of infestation to inform treatment plans.

Ants Extermination Service

When selecting a professional for ant extermination services, experience is an important factor to consider. Homeowners should look for local contractors who have a proven track record in handling ant infestations within the community. An experienced service provider is likely to understand the specific behaviors and nesting habits of local ant species, which can contribute to more effective treatments. Additionally, a contractor’s familiarity with the area can lead to tailored solutions that address the unique needs of homes in Ponder, TX and surrounding neighborhoods.

Clear and written expectations are essential for a smooth service experience. Reputable local pros typically provide detailed descriptions of their treatment methods, what homeowners can expect during and after the service, and any necessary preparations or follow-up steps. Having this information in writing helps ensure transparency and aligns expectations, reducing potential misunderstandings. Homeowners are encouraged to review these details carefully and ask questions to confirm that the scope and approach meet their needs.

Reputable references and effective communication are key indicators of a trustworthy service provider. Local contractors with positive references from previous clients can offer insights into their reliability and quality of work. Good communication involves prompt responses to inquiries, clarity in explanations, and a willingness to address concerns. Homeowners should seek local pros who prioritize open dialogue, ensuring that they feel informed and confident throughout the process. Since the site connects users with local providers rather than performing the work directly, it’s important to evaluate these aspects when choosing a contractor for ant extermination services.

Get an Ants Extermination Service Quote

Property owners in Ponder, TX use Ants Extermination Service services for practical projects around their homes and businesses. The sections below highlight everyday jobs and straightforward project options.

Ants Extermination Service
Ants Extermination Service

Ants Extermination Service providers are often sought by property owners in Ponder, TX, when encountering common household issues such as ant trails in kitchens, bathrooms, or around the foundation. These insects can become a nuisance quickly, especially as they seek food and water sources inside the home. Local professionals can assess the situation and implement targeted treatments to eliminate existing colonies and reduce the likelihood of future infestations, helping homeowners maintain a clean and comfortable living space.

In addition to interior concerns, property owners may seek ant extermination services to address outdoor ant activity around their yards or gardens. Ants can pose challenges for outdoor gatherings, gardening, or simply maintaining a pest-free environment. Local service providers can provide solutions tailored to the specific types of ants present and the property’s landscape, supporting efforts to keep outdoor areas safe and enjoyable.

Get an Ants Extermination Service Quote

How do ant extermination services work? Ant extermination services typically involve inspecting the property to identify ant entry points and nests, then applying targeted treatments to eliminate colonies and prevent future infestations.

Are ant extermination treatments safe for pets and children? Many ant extermination methods are safe when applied by professionals, but it is advisable to discuss specific concerns with the service provider before treatment.

How long does an ant extermination treatment take? The duration varies depending on the severity of the infestation and the treatment method used; a local pest control professional can provide more detailed information.

Will I need multiple treatments for a persistent ant problem? Some ant infestations may require multiple visits or ongoing treatments to fully eliminate the colony and prevent recurrence.

How can I prevent future ant infestations? Professionals often recommend sealing entry points, removing food sources, and maintaining cleanliness to reduce the likelihood of future ant problems.

Ants Extermination Solutions - Local service providers offer targeted treatments to eliminate ant infestations effectively.

Inspection and Identification - Pros can assess property conditions to identify ant entry points and nesting areas.

Preventive Treatments - Experts can advise on and apply barriers to help prevent future ant invasions.

Ongoing Monitoring - Regular inspections ensure ant issues are managed and do not recur.

Ants Extermination Service

Considering Ants Extermination Service for a property in Ponder, TX? The sections above highlight common project types, practical options, and details that often shape the scope of work.

When you are ready, use the quote form to share a few details about your project. Local pros can review the basics and respond with options that match what you have in mind.

Get an Ants Extermination Service Quote

Ants Extermination Quotes

Our Trusted Partners
Cantu Pest Control
Orkin
Hawx Pest Control