Local Service Overview

Get Ants Extermination Service in The Colony, TX

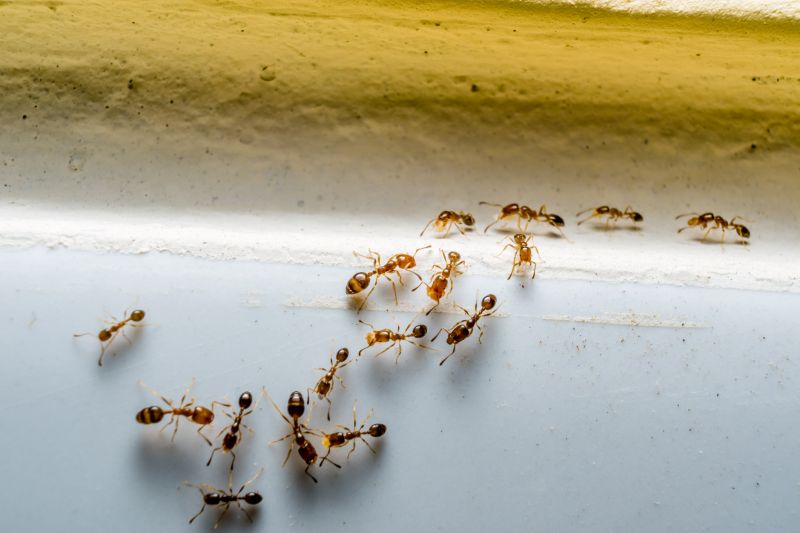
Ants extermination services for property owners in The Colony, TX, address ant infestations, prevent future invasions, and handle residential and commercial pest control projects.

The Colony, TX

Ants extermination services provide property owners in The Colony, TX with effective solutions to manage and eliminate ant infestations. Addressing ant problems promptly can help maintain a comfortable living or working environment by preventing the nuisance and potential damage caused by these pests. Professional exterminators employ targeted methods to reduce ant populations, helping to create a safer and more functional space where residents and visitors can feel at ease.

Choosing professional ant extermination also offers benefits like enhanced durability of property structures and reduced ongoing maintenance. By controlling ant activity, property owners can protect their investments from potential damage to wood, wiring, and insulation. Additionally, a well-executed extermination can improve curb appeal by maintaining a clean, pest-free exterior, contributing to a more inviting and well-maintained appearance for the property.

Get Ants Extermination Service Quotes

  • Ants Infestation Control - needed when ant colonies invade homes or businesses in the area.
  • Outdoor Ant Mound Treatments - required to eliminate large outdoor ant nests around residential or commercial properties.
  • Kitchen and Pantry Ant Removal - necessary when ants are found in food storage areas or food preparation zones.
  • Spring and Summer Pest Prevention - important during warmer months when ant activity increases in The Colony, TX, and neighboring regions.
  • Perimeter Barrier Treatments - used to create a protective barrier around properties to prevent ant entry.

Get Ants Extermination Service Quotes

Ants Extermination Service
Ants Extermination Service
Ants Extermination Service

Ants extermination services involve the identification and removal of ant colonies from residential and commercial properties. These services typically include thorough inspections to locate ant nests and entry points, followed by targeted treatments to eliminate existing ant populations. Depending on the severity of the infestation, providers may use a combination of baiting systems, residual sprays, and dusts to ensure effective eradication. The goal is to reduce ant activity and prevent future invasions, helping property owners maintain a pest-free environment.

Ant infestations can cause a range of problems beyond mere nuisance. Ants can contaminate food supplies, especially in kitchens and pantries, leading to hygiene concerns. Certain species, such as fire ants, pose risks of painful stings that can result in allergic reactions. Additionally, some ants may damage property by nesting in structural wood or electrical systems. Ant extermination services address these issues by removing colonies and implementing preventative measures to protect the integrity and safety of the property.

Properties that typically utilize ant extermination services include single-family homes, apartment complexes, restaurants, and retail stores. Residential properties often seek treatment to safeguard food storage areas and prevent ant trails from spreading throughout living spaces. Commercial establishments, especially those involved in food service or retail, prioritize pest control to adhere to health regulations and maintain a clean environment. In multi-unit buildings, professional extermination helps manage infestations that could affect multiple tenants or business operations.

Local pest control providers offer ant extermination services tailored to the specific needs of different property types. They use integrated approaches that combine inspection, treatment, and prevention strategies to ensure long-term control. Whether addressing a minor ant presence or a significant infestation, these professionals help property owners manage ant problems effectively. Contacting qualified service providers can help identify the best treatment options and maintain a pest-free environment.

The overview below groups typical Ants Extermination Service projects into broad ranges so you can see how smaller, mid-sized, and larger jobs often compare in The Colony, TX.

In many markets, a large share of routine jobs stays in the lower and middle ranges, while only a smaller percentage of projects moves into the highest bands when the work is more complex or site conditions are harder than average.

Initial Treatment Costs - The cost for a single ant extermination treatment typically ranges from $150 to $300, depending on the size of the property and severity of the infestation. For example, a standard residential home in The Colony, TX, might fall within this range.

Multiple Treatment Packages - Multi-session or comprehensive service plans can range from $300 to $600, offering ongoing control and prevention. Larger properties or severe infestations may incur higher costs within this bracket.

Per-Visit Charges - Some service providers charge per visit, which can be between $100 and $200 each. This pricing often applies to targeted treatments or follow-up visits to ensure ant eradication.

Additional Service Fees - Extra charges may apply for specialized treatments or inaccessible areas, typically adding $50 to $150 to the overall cost. These fees vary based on the complexity of the service required by local pros.

Actual totals will depend on details like access to the work area, the scope of the project, and the materials selected, so use these as general starting points rather than exact figures.

Get an Ants Extermination Service Quote

Ants Extermination services connect homeowners with professionals who specialize in identifying and eliminating ant infestations in residential and commercial properties.

Local pros offer targeted ant control solutions to address specific species and nesting habits, helping to reduce ant populations effectively.

Experts in ant extermination provide inspection and treatment options designed to prevent future invasions and protect property health.

Ants Extermination services include the use of various treatment methods tailored to the severity of the infestation and property type.

Service providers can assist with both indoor and outdoor ant control, ensuring comprehensive protection for homes and businesses.

Contacting local ant extermination specialists helps ensure the use of appropriate techniques to resolve ant problems efficiently and safely.

Ants Extermination Service

When comparing local professionals for ant extermination services, experience is a key factor to consider. Homeowners should look for service providers who have a proven track record in handling ant infestations in the area, such as The Colony, TX, and neighboring communities. Experienced pros are typically familiar with the common types of ants in the region and the most effective treatment methods, which can contribute to more efficient and targeted solutions. It’s helpful to review how long a contractor has been operating locally and whether they have successfully addressed similar ant issues for other residents.

Clear and written expectations are essential when choosing a pest control provider. Reputable local pros should be transparent about the scope of their services, the procedures they use, and any preparations or follow-up actions required. This information helps homeowners understand what to anticipate and ensures there are no surprises during the process. Contractors who provide detailed written estimates or service agreements demonstrate professionalism and a commitment to clear communication, which can foster trust and confidence in their work.

Reputation and references from previous clients can offer valuable insights into a local pest control provider’s reliability. Homeowners are encouraged to seek out service providers with positive references or reviews from neighbors and community members. Good communication is also a vital aspect of service quality; local pros should be responsive, approachable, and willing to answer questions throughout the process. While the site introduces local options, it is important to remember that it connects users with independent contractors and service providers, not the actual exterminators, so verifying credentials and references directly remains a recommended step.

Get an Ants Extermination Service Quote

Property owners in The Colony, TX use Ants Extermination Service services for practical projects around their homes and businesses. The sections below highlight everyday jobs and straightforward project options.

Ants Extermination Service
Ants Extermination Service

Ants extermination services are often sought by property owners in The Colony, TX when they notice ant activity around their homes or businesses. Common situations include discovering ant trails in kitchens, bathrooms, or outdoor areas, which can indicate a larger infestation. Property owners may also seek professional help after attempting DIY methods that do not fully eliminate the problem or when they want to prevent future ant invasions from affecting their living or working spaces.

In addition to visible ant problems, property owners might look for extermination services to address recurring issues or to safeguard their property from potential damage caused by certain ant species. For instance, some types of ants can compromise insulation or electrical wiring, prompting residents or business owners to seek expert assistance. Connecting with local pest control providers can help address these everyday concerns efficiently and effectively.

Get an Ants Extermination Service Quote

How do ant extermination services work? Ant extermination services typically involve inspecting the property to identify ant colonies, applying targeted treatments to eliminate ants, and providing recommendations to prevent future infestations.

Are the treatments safe for pets and children? Most ant extermination methods used by local service providers are designed to be safe for pets and children when applied according to instructions. It is advisable to discuss any concerns with the service provider.

How long does an ant extermination treatment last? The duration of effectiveness varies depending on the treatment method and the severity of the infestation. Service providers can offer guidance on maintenance and follow-up treatments if needed.

What types of ants can be eliminated with extermination services? Professional extermination services can target common ants such as carpenter ants, odorous house ants, pavement ants, and other local ant species.

Is ongoing treatment necessary to prevent future ant problems? Ongoing treatments or preventative measures may be recommended by local pros to help maintain an ant-free environment, especially in areas prone to infestations.

Ants Extermination Solutions - Local service providers can assess infested areas and recommend effective treatment options tailored to specific ant species.

Integrated Pest Management - Experts may implement comprehensive strategies to eliminate ants and prevent future invasions through sanitation and habitat modification.

Residential and Commercial Services - Professionals offer targeted treatments for homes, businesses, and outdoor spaces to address ant problems efficiently.

Ongoing Monitoring and Prevention - Service providers can establish plans to monitor ant activity and advise on measures to reduce the likelihood of re-infestation.

Ants Extermination Service

Considering Ants Extermination Service for a property in The Colony, TX? The sections above highlight common project types, practical options, and details that often shape the scope of work.

When you are ready, use the quote form to share a few details about your project. Local pros can review the basics and respond with options that match what you have in mind.

Get an Ants Extermination Service Quote

Ants Extermination Quotes

Our Trusted Partners
Cantu Pest Control
Orkin
Hawx Pest Control