Local Service Overview

Get Ants Extermination Service in Sanger, TX

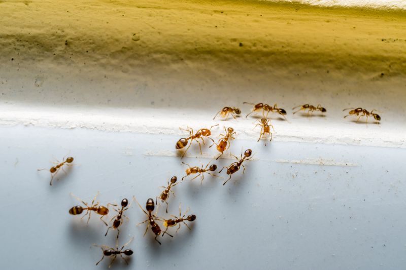
Ants extermination services for property owners in Sanger, TX, and nearby areas address ant infestations, preventing damage and ensuring pest-free indoor and outdoor spaces.

Sanger, TX

Ants extermination services are an essential consideration for property owners in Sanger, TX seeking to maintain a comfortable and functional living or working environment. Effective pest control helps prevent ant infestations that can disrupt daily activities, damage structures, or contaminate food supplies. By addressing ant issues promptly, property owners can enjoy a safer, more secure space, reducing the risk of potential health concerns and property damage caused by persistent pests.

Engaging professional ant extermination services offers benefits such as enhanced durability of structures, reduced ongoing maintenance needs, and improved curb appeal. A well-maintained property free of ant activity not only looks more inviting but also preserves its value over time. Local service providers can tailor solutions to specific property needs, ensuring long-lasting results that contribute to overall peace of mind and the preservation of property integrity.

Get Ants Extermination Service Quotes

  • Ants Extermination Services are suitable when homeowners notice ant trails or nests inside or around their property.
  • These services are often needed in residential areas of Sanger, TX, and neighboring communities experiencing persistent ant activity.
  • Ant control may be required when ants invade kitchens, pantries, or other areas where food is stored or prepared.
  • Commercial properties experiencing ant infestations in Sanger, TX, or nearby towns may seek professional extermination to protect their business environment.
  • Ants Extermination Services can assist in preventing future infestations by targeting colonies and entry points around the property.

Get Ants Extermination Service Quotes

Ants Extermination Service
Ants Extermination Service
Ants Extermination Service

Ants extermination services involve the identification and elimination of ant colonies that have invaded a property. Professionals typically conduct thorough inspections to determine the extent of the infestation and locate the nests. Treatment methods may include targeted baiting systems, residual sprays, or dust applications designed to eradicate ants at their source. These services aim to reduce ant populations effectively and prevent future invasions, helping property owners restore a pest-free environment.

Ant infestations can cause various problems, including property damage, contamination of food supplies, and general nuisance. Certain species of ants, such as carpenter ants, are known to damage wood structures, which can compromise the integrity of buildings over time. Additionally, ants can be vectors for bacteria, contaminating surfaces and food items, which poses health risks. Professional extermination services address these issues by applying appropriate treatments to eliminate ants and reduce the likelihood of recurring problems.

Properties that typically utilize ants extermination services range from residential homes to commercial establishments. Single-family houses often require treatment in kitchens, basements, or outdoor areas where ants tend to forage. Apartment complexes and multi-unit buildings may also seek pest control to manage widespread infestations affecting multiple units. Commercial properties, including restaurants, grocery stores, and warehouses, frequently need professional assistance to maintain hygiene standards and prevent pest-related disruptions.

Engaging with local pest control providers ensures that property owners receive tailored solutions suited to their specific needs. These professionals are equipped to handle different types of ant species and infestation levels, offering effective treatment options for various property types. Whether dealing with a small residential problem or a larger commercial concern, partnering with experienced local service providers can help address ant issues promptly and efficiently.

The overview below groups typical Ants Extermination Service projects into broad ranges so you can see how smaller, mid-sized, and larger jobs often compare in Sanger, TX.

In many markets, a large share of routine jobs stays in the lower and middle ranges, while only a smaller percentage of projects moves into the highest bands when the work is more complex or site conditions are harder than average.

Initial Inspection Costs - The typical cost for an initial ant inspection ranges from $50 to $150, depending on the property size and location. Larger properties or those requiring extensive assessment may cost more. These fees generally cover the inspection process only.

Per-Visit Treatment Fees - One-time ant extermination treatments usually cost between $100 and $300 per visit. The price varies based on the severity of the infestation and the treatment methods used. Additional visits or follow-ups may incur extra charges.

Monthly Service Plans - Ongoing ant control plans can range from $40 to $70 per month. These plans often include regular treatments and inspections to prevent future infestations. The total cost depends on the frequency of visits and the size of the property.

Bulk or Area-Based Pricing - For larger areas or multiple properties, service providers may offer pricing from $200 to $500 for comprehensive treatment. Costs are influenced by the extent of the infestation and the treatment area size. Contact local pros for tailored estimates based on specific needs.

Actual totals will depend on details like access to the work area, the scope of the project, and the materials selected, so use these as general starting points rather than exact figures.

Get an Ants Extermination Service Quote

Ants Extermination - Local pest control providers offer specialized services to eliminate ant infestations in residential and commercial properties in Sanger, TX. They utilize targeted treatments to address various ant species effectively.

Ant Colony Removal - Service providers can locate and remove ant colonies to prevent future outbreaks, ensuring long-term pest control solutions for local clients.

Indoor Ant Control - Experts apply interior treatments to eradicate ants within homes and businesses, reducing nuisance and preventing further entry points.

Outdoor Ant Control - Local pros treat lawns, gardens, and exterior structures to eliminate ant nests and create a barrier against future invasions.

Ant Prevention Services - Pest control specialists advise on and implement measures to prevent ant re-infestation, including sealing entry points and habitat modification.

Emergency Ant Extermination - Immediate response services are available from local providers to address severe ant infestations quickly and efficiently.

Ants Extermination Service

When evaluating ant extermination services, experience is a key factor to consider. Local professionals often have extensive knowledge of common ant species in the area and are familiar with the most effective treatment methods specific to the region. Reviewing the background of potential service providers can help determine their familiarity with ant control, ensuring that they understand the unique challenges that may arise in homes within Sanger, TX, and neighboring communities. It’s also helpful to seek out reputable references or reviews from previous clients to gauge the quality of their work and reliability.

Clear communication and setting written expectations are important when selecting an ant extermination service. Pros should provide detailed information about their treatment approaches, what homeowners can expect during and after the service, and any recommended follow-up steps. Having these details in writing can help prevent misunderstandings and ensure that homeowners are well-informed about the process. Open communication also allows homeowners to ask questions and express specific concerns, leading to a more satisfactory service experience.

Reputation and references play a vital role in choosing a trusted local professional. Pros with a solid reputation are often recommended by other homeowners or have positive feedback from previous clients. It’s beneficial to verify references or read reviews to understand the consistency of service quality and professionalism. Additionally, effective communication from service providers-such as prompt responses, clarity in explanations, and transparency-can enhance the overall experience and help homeowners feel confident in their choice of local ant extermination specialists.

Get an Ants Extermination Service Quote

Property owners in Sanger, TX use Ants Extermination Service services for practical projects around their homes and businesses. The sections below highlight everyday jobs and straightforward project options.

Ants Extermination Service
Ants Extermination Service

Ants extermination services are commonly sought by property owners in Sanger, TX, who encounter persistent ant infestations in residential or commercial spaces. These pests can invade kitchens, pantries, and other areas, making everyday activities difficult and potentially leading to property damage. Local service providers are often contacted to assess the extent of the ant problem and implement targeted treatment solutions to eliminate colonies and prevent future invasions.

In addition to ongoing infestations, property owners may seek ants extermination services after noticing increased ant activity during warmer months or following construction projects that disturb ant nests. Whether dealing with sugar ants, fire ants, or other common species in the area, residents and business owners turn to local pros to help restore comfort and safety to their properties. Connecting with experienced providers can help address these common pest issues efficiently.

Get an Ants Extermination Service Quote

How do ant extermination services work? Ant extermination services typically involve inspecting the property, identifying ant species and entry points, and applying targeted treatments to eliminate colonies and prevent future infestations.

Are the treatments safe for pets and children? Many local pros use treatments that are safe when applied correctly; it is recommended to discuss safety concerns with the service provider before scheduling.

How long does an ant extermination treatment last? The duration of effectiveness can vary depending on the treatment method and severity of the infestation; a professional can provide guidance based on specific conditions.

Can ant extermination services prevent future infestations? Yes, many services include recommendations and treatments designed to reduce the likelihood of ants returning to the property.

What should I do to prepare for ant extermination service? It is usually advised to clear the area around ant entry points and follow any specific instructions provided by the service provider prior to treatment.

Ants Extermination Techniques - Local service providers offer various methods to eliminate ant colonies, including baiting, trapping, and targeted treatments tailored to specific ant species.

Inspection and Identification - Pros can assess property conditions to identify ant entry points and nesting sites, providing effective treatment strategies.

Preventive Ant Control - Experts recommend ongoing maintenance and sealing techniques to reduce the likelihood of future ant infestations.

Customized Pest Management Plans - Service providers develop tailored plans based on the severity of the ant problem and property layout.

Ants Extermination Service

Considering Ants Extermination Service for a property in Sanger, TX? The sections above highlight common project types, practical options, and details that often shape the scope of work.

When you are ready, use the quote form to share a few details about your project. Local pros can review the basics and respond with options that match what you have in mind.

Get an Ants Extermination Service Quote

Ants Extermination Quotes

Our Trusted Partners
Cantu Pest Control
Orkin
Hawx Pest Control